¿Quiere recibir notificaciones de alertas?

Viernes 12 de Diciembre, Neuquén, Argentina
Logo Am2022
PUBLICIDAD

Huracán Helene provocó 20 muertos y graves daños en Estados Unidos

Se trata de la tercera tormenta de mayores magnitudes que azota a Florida.
Viernes, 27 de septiembre de 2024 a las 16:35
PUBLICIDAD

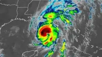
El Huracán Helene tocó tierra en el noroeste de Florida como tormenta de categoría 4 y llevó vientos peligrosos y lluvias a gran parte del sureste de Estados Unidos. Hubo al menos tres muertes relacionadas con la tormenta.

El centro de huracanes dijo que apareció en tierra ayer cerca de la desembocadura del río Aucilla en la zona de Big Bend de la costa del Golfo de Florida. Tenía vientos máximos sostenidos estimados en 225 kilómetros por hora. Ese lugar estaba a sólo unos 32 kilómetros al noroeste de donde tocó tierra el año pasado casi con la misma ferocidad y causó daños generalizados.

El ojo del huracán pasó cerca de Valdosta, Georgia, mientras la tormenta se desplazaba rápidamente hacia el norte de Georgia el jueves por la noche. El Centro Nacional de Huracanes emitió un aviso de vientos extremos para la zona, lo que significa posibles vientos huracanados de más de 185 km/h.

En un hotel de la ciudad de 55.000 habitantes, cerca de la frontera con Florida, decenas de personas se apiñaban en el vestíbulo a oscuras, mientras los vientos silbaban y aullaban en el exterior. No había electricidad, y las luces de emergencia del vestíbulo, las linternas y los teléfonos móviles eran la única iluminación. 

Helene es la tercera tormenta que azota la ciudad en poco más de un año. La tormenta tropical Debby dejó sin electricidad a miles de personas en agosto, mientras que el Huracán Idalia dañó unas 1.000 viviendas en Valdosta y los alrededores del condado de Lowndes hace un año. "Creo que muchos de nosotros sabemos qué hacer ahora", afirma Herrera. "Hemos visto algunas tormentas y nos ha crecido la piel".

Helene se extendió más allá de la costa hasta el norte de Georgia y el oeste de Carolina del Norte. Más de 1,2 millones de hogares y empresas se quedaron sin electricidad en Florida, más de 190.000 en Georgia y más de 30.000 en las Carolinas, según el sitio de seguimiento poweroutage.us. Los gobernadores de esos estados y de Alabama y Virginia declararon la emergencia.

PUBLICIDAD
PUBLICIDAD
PUBLICIDAD
PUBLICIDAD
PUBLICIDAD
PUBLICIDAD
PUBLICIDAD